4516 Elliott

Property Overview
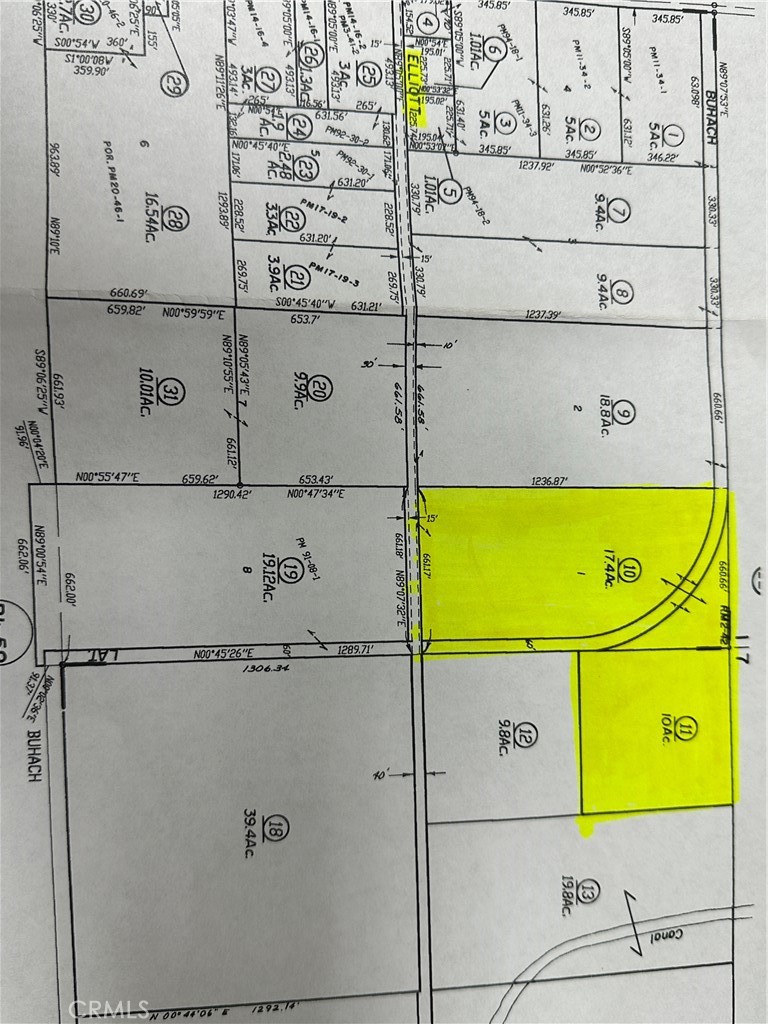
OWNED SOLAR!!! Experience serene country living on 27.4 acres with an older 3-bedroom, 2-bath home featuring a flexible layout that includes a bonus room perfect as a 4th bedroom, office, or hobby space. Offering 1,598 sq ft of comfortable living space, the home welcomes you with a nice open layout and scenic views from the front yard. The kitchen is open to the living room, creating a seamless flow ideal for entertaining and everyday living. Enjoy the benefits of 24 owned solar panels, mounted on the 2-car garage/shop adjacent to the home, adding energy efficiency and savings. Step out back to find a huge barn and an additional smaller barn, perfect for storage or livestock. This property includes two APNs selling together: the home sits on 17.4 acres, with an adjacent 10-acre parcel included, totaling 27.4 acres. Whether you're looking for privacy, space to roam, or agricultural potential, this property offers it all. This is a great property for Family living or investment purposes. There are 2 separate parcels. The 17.4 Acre parcel has the home, a newer shop, large barn, and 2 covered parking areas for farm equipment. The zoning is A1 additional units may be allowed buyer to investigate.
Home Details
Interior Spaces & Features
Community & Neighborhood
Subdivision
No subdivision info
Amenities
No specific amenities listed
Recreation
Recreation info not available
Location & Neighborhood
Frequently Asked Questions
Homeowner resources
Certified San Diego home inspectors
Schedule an inspectionTrusted local movers
Get a quoteCA homeowners insurance
Get a quoteDisclosure: We may have a referral relationship with selected providers.
Get More Info
Crown Coastal Support Team
Responds within 2 hours
“Reza was the best agent we have ever worked with.”— Russell & Susan McQueen
Listing Agent
